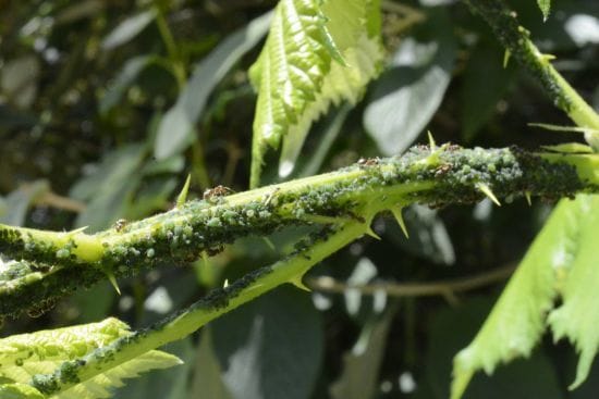
Городникам мурахи можуть створювати багато зайвих проблем. Особливо часто вони з’являються на тих рослинах, де вже є попелиця. Розповідаємо про простий спосіб позбутися мурах і попелиці.


Городникам мурахи можуть створювати багато зайвих проблем. Особливо часто вони з’являються на тих рослинах, де вже є попелиця. Розповідаємо про простий спосіб позбутися мурах і попелиці.